Plot 82 Capel Road, Rusper, Horsham, West Sussex,
Capel Road , West Sussex, RH12 4PZ
- 10
Guide Price: *
£1,200
Fees apply
Buyer's fee:£3,600
Legal fee:£960
All fees include VAT at 20%
Holding Deposit: *£1,400
*Only charged if you are the successful buyer and goes towards the purchase price
Auction Type:
† Traditional
Opening bid:
£800Bid history
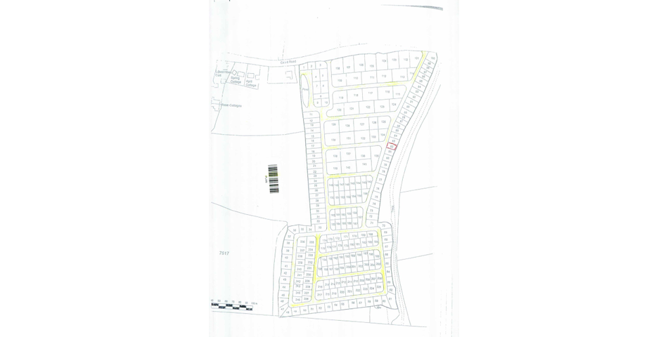
0 bidsPlot details: Capel Road Plot no: 82 Size 0.05 acre Available via AssetBay online auction Planning Enquiries: Horsham District Council Description Beautiful flat green land surrounded by not only further greenery but also adjoining to a residential area close by.The freehold plot of land is located in the underdeveloped area of Horsham, West Sussex. An undervalued piece of prime land with hope for future value & development subject to the relevant planning consent. The land is available for a number of uses, with potentially a lot more usage available once the relevant planning consent were to be granted. Buyers are advised to speak with the local council that governs that area in relation to planning consent along with exemptions. This plot holds hope for future value, land increase and development Size The plot measures 0.05 of an acre 2178 Square ft 202.3428 Sqm Development News A new 5,000 home settlement between Horsham and Capel has been proposed by developers. The cluster of villages on land east of the A24 would centre on Kingsfold and stretch from the A264 near Warnham to just south of the Clark’s Green roundabout. While 5,000 plus homes are being proposed it could ‘also establish a direction of future growth’ for up to 10,000 homes. Location The site is close to local businesses, right off Friday St onto Capel road, the site is in between the businesses Lyndon copiers and Funny Bone Brewing, just under 6 miles to Gatwick, just over 20 miles to London Victoria, and a further 10 miles to St Pancreas, with local train stations Ockley/Warnham/Holmwood/Faygate/Littlehaven all within a 5 mile radius Viewing Open site that can be adequately viewed from the roadside in the first instance. AssetBay have not conducted inspections or made enquiries, buyers should make their own enquires and refer to the legal pack which is the responsibility of the seller and or their legal representatives. Interested parties are advised to make their own enquiries as to the exact position of the site. The plot is not marked out on site. Please visit site unaccompanied during daylight hours.
Plot details: Capel Road Plot no: 82 Size 0.05 acre Available via AssetBay online auction Planning Enquiries: Horsham District Council Description Beautiful flat green land surrounded by not only further greenery but also adjoining to a residential area close by.The freehold plot of land is located in the underdeveloped area of Horsham, West Sussex. An undervalued piece of prime land with hope for future value & development subject to the relevant planning consent. The land is available for a number of uses, with potentially a lot more usage available once the relevant planning consent were to be granted. Buyers are advised to speak with the local council that governs that area in relation to planning consent along with exemptions. This plot holds hope for future value, land increase and development Size The plot measures 0.05 of an acre 2178 Square ft 202.3428 Sqm Development News A new 5,000 home settlement between Horsham and Capel has been proposed by developers. The cluster of villages on land east of the A24 would centre on Kingsfold and stretch from the A264 near Warnham to just south of the Clark’s Green roundabout. While 5,000 plus homes are being proposed it could ‘also establish a direction of future growth’ for up to 10,000 homes. Location The site is close to local businesses, right off Friday St onto Capel road, the site is in between the businesses Lyndon copiers and Funny Bone Brewing, just under 6 miles to Gatwick, just over 20 miles to London Victoria, and a further 10 miles to St Pancreas, with local train stations Ockley/Warnham/Holmwood/Faygate/Littlehaven all within a 5 mile radius Viewing Open site that can be adequately viewed from the roadside in the first instance. AssetBay have not conducted inspections or made enquiries, buyers should make their own enquires and refer to the legal pack which is the responsibility of the seller and or their legal representatives. Interested parties are advised to make their own enquiries as to the exact position of the site. The plot is not marked out on site. Please visit site unaccompanied during daylight hours.
Summary
- Auction end
- 15th Dec at 18:15
- Property type
- Land
- Tenure
- Ask Agent
- Council tax band
- Ask Agent
Guide Price: *
£1,200
Fees apply
Buyer's fee:£3,600
Legal fee:£960
All fees include VAT at 20%
Holding Deposit: *£1,400
*Only charged if you are the successful buyer and goes towards the purchase price
Auction Type:
† Traditional
Opening bid:
£800Bid history
0 bidsSummary
- Auction end
- 15th Dec at 18:15
- Property type
- Land
- Tenure
- Ask Agent
- Council tax band
- Ask Agent
This property is being sold by:

Asset Bay
The Corner House, 2 High Street, Aylesford, ME20 7BG
†Traditional auction
Exchange occurs at the end of the auction. This means that if the reserve is met or exceeded and the auction timer reaches zero, the successful bidder is legally obliged to pay the purchase price and the seller will be legally obliged to sell the property. To ensure that the successful bidder proceeds, the buyer is automatically charged a holding deposit, which is held in a secure client account, pursuant to the terms of a holding deposit agreement.
* Pricing Information
The Guide Price amount specified is an indication of each seller's minimum expectation. It is not necessarily the amount at which the property will sell. Each property will be offered subject to a Reserve (a figure below which the property will not be sold) which we expect will be set no more than 10% above the Guide Price amount.
Bamboo Proptech and Asset Bay Online Auction shall not be liable for any inaccuracies in the fees stated on this description page, in the bidding confirmation pop up or in the particulars. Buyers should check the contents of the legal pack and special conditions for accurate information on fees. Where there is a conflict between the fees stated in the particulars, the bid information box above or the bidding confirmation pop up and the contents of the legal pack, the contents of the legal pack shall prevail.
Stamp Duty Land Tax or Land and Buildings Transaction Tax may also apply in some circumstances.
Refreshing the Page
To make sure that you are seeing the latest information for the property, we recommend you refresh the page. This ensures you're seeing live information and not stored (cached) data. If the page disconnects from the Internet, refreshing the page will show the latest information.
Disclaimer
All information relating to this property, including descriptions, pictures and other related information has been provided by Asset Bay Online Auction. All legal documents in relation to this property have been provided by the Vendor's solicitor. Neither Bamboo Proptech or any individual in employment with Bamboo Proptech makes any warranty as to the accuracy or completeness of any of the property information.
These particulars do not form part of any contract or offer. Buyers should not rely on them as statements of representation and should check that the information is correct by inspection or otherwise. Where there is a conflict between the contents of the legal documents and these particulars, the information contained in the legal documents shall prevail.
Pursuant to the Auctioneer Act 1845, this auction is being conducted by the auctioneer stated above. All participants in this online auction shall note that both the Auctions (Bidding Agreements) Act 1927 and 1969 shall apply.
Where stated in the bid box above, you agree that Bamboo may pre-authorise your card for the amount of the Buyer's fee and Deposit. You will only be charged if you are the winning buyer. We will release the pre-authorisation at the end of the auction. You card issuer may take up to 10 working days for this amount to be available to you in your account.

